
Scientists have revealed a ground-breaking discovery after drilling into the Earth's mantle, which they believe holds secrets to the origins of human life.
Led by researchers from the Universities of Cardiff and Leeds, the team travelled to a spot in the Atlantic Ocean commonly referred to as the 'Lost City' to conduct their deep-sea drilling experiment.
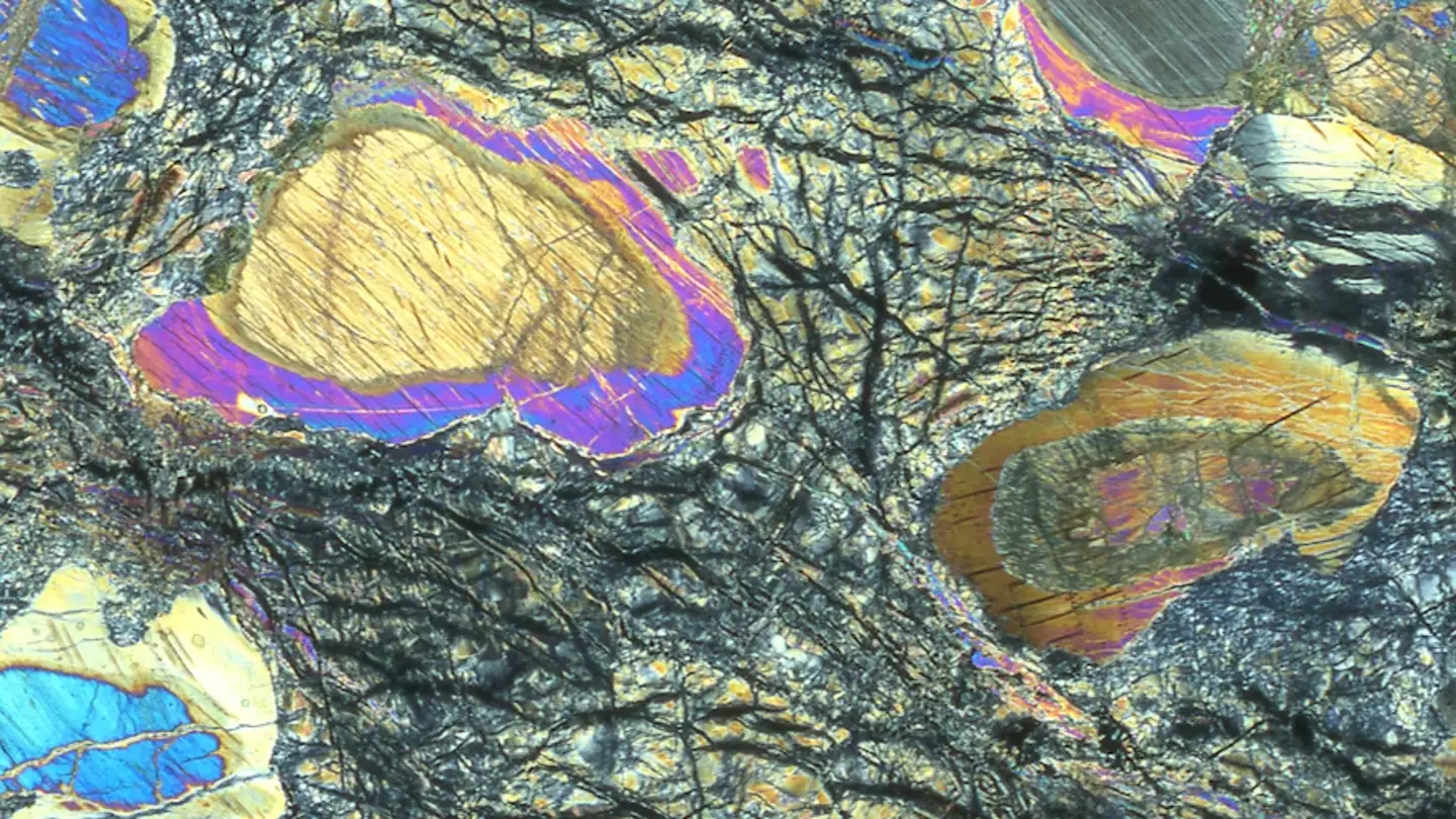
The team were able to extract a sample from the earth's mantle, which is a layer of solid rock sitting underneath the Earth's crust and on top of the outer core, which could now aid scientists in decoding the mysteries of our planet's evolution.

What is the 'Lost City'?
Unfortunately the Lost City Hydrothermal Field, or more simply the 'Lost City', is not a mysterious civilisation lost to the ocean but instead a series of alkaline hydrothermal vents in the middle of the Atlantic Ocean.
Advert
Now this may sound far less interesting than the area's name leads you to think but the Lost City is actually massively important to scientists, as the vents release methane and hydrogen into the ocean.
These gasses are fundamental to sustaining microbial lifeforms, which means the location allows researchers to investigate further into the origins of living organisms on our planet.
"One suggestion for the origin of life on Earth is that it could have happened in an environment similar to Lost City," Andrew McCaig, a geologist and study co-author from the University of Leeds, said of the location's importance.
See, not so boring after all!
What could the findings mean for scientists?
Now to you and I, a bunch of rocks dug up from the ocean floor might not sound like much, but to the teams conducting the research the findings are crucial to understanding evolutionary processes from billions of years ago.
Advert

"The reaction between seawater and mantle rocks on or near the seafloor releases hydrogen, which in turn forms compounds such as methane, which underpin microbial life. This is one of the hypotheses for the origin of life on Earth," Cardiff University's Geologist Johan Lissenberg and lead author of the study explained.
"Our recovery of mantle rocks enables us to study these reactions in great detail and across a range of temperatures, and link it to the observations our microbiologists make on the abundance and types of microbes present in the rocks, and the depth to which microbes occur beneath the ocean floor."
The rock sample recovered is around 2.5 inches - or 6.5cm - in diameter.
Lissenberg added in an interview with The New York Times that it's too soon to say for certain what the research will reveal, but his team are hopeful that it will deepen scientists' understanding about how microbial lifeforms eventually ended up as humans in the past billion years.
Topics: Science, Environment