
Earlier this week, it was announced that a huge underwater volcano could soon erupt after a whopping 2,000 earthquakes were recorded in a single day, but what does that actually mean for those in the immediate area?
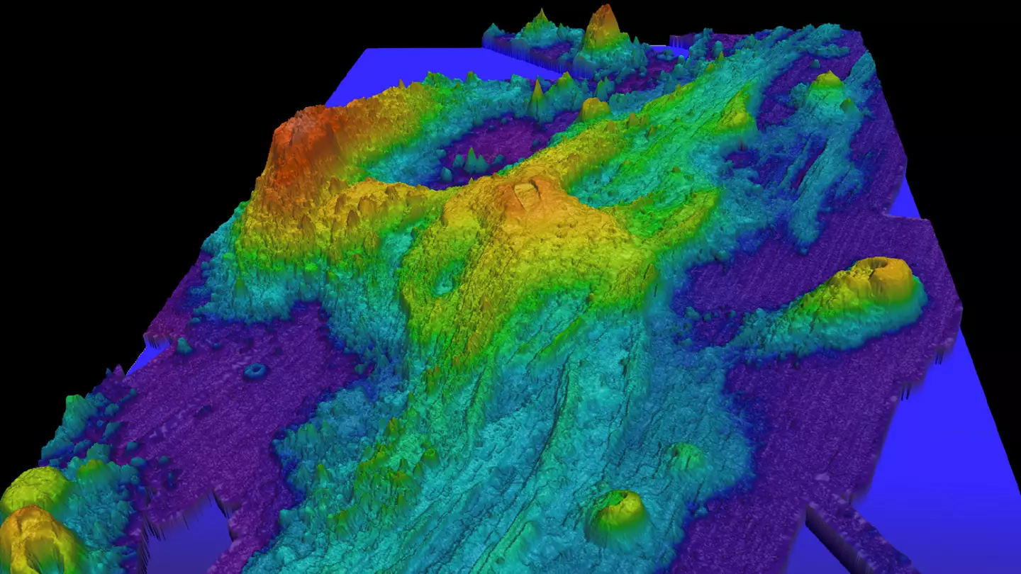
Axial Seamount is located less than 300 miles from the Oregon on the US coastline in the Pacific Northwest, however, it is buried one mile under the sea, which makes a huge difference to its impact.
The ginormous volcano has already erupted a number of times, most recently in 2015, 2011 and 1998, but this coming explosion looks set to be the biggest yet.
Risk of sea floor collapsing
There are several things that happen when an underwater volcano erupts, starting with lava flowing onto the seafloor, which cools quickly, forming pillow lavas and sheet flows.

Advert
Some under water organisms could be killed by the heat from the volcano boosting activity at hydrothermal vents, which could see the release of large amounts of hot, mineral-rich water, creating black smokers.
A potential risk, when it comes to underwater volcanic eruptions, is the possibility of the sea floor collapsing. This already happened many times before during Axial Seamount eruptions, however, it has only been the volcano's caldera that has been impacted so far.

Each time the volcano erupts, the magma rises in the shallow chamber underneath the seafloor, causing the volcano to inflate and the seafloor to bulge upwards.
When plenty of magma has spilled out onto the seafloor, the chamber is left empty and loses support, causing the caldera to drop.
Advert
In 1998, the caldera dropped by around 3 metres, in 2011 it dropped by 2.4 metres and most recently, in 2015, it dropped by 2.1 metres.
However, if the entire volcano was to drop, it does have the possibility of causing a catastrophic flank collapse, in which the volcano's sides collapse inwards.
This could have a devastating impact as it could displace a lot of water, causing a tsunami, however, it's very unlikely.
There's no evidence that Axial is unstable at the moment, but scientists are constantly keeping an eye to make sure there are no changes.
Advert
So, what does that mean for humans?
Well, unless Axial becomes unstable and a flank collapse takes place, there isn't believed to be any potential danger to human life.
And when is this eruption likely to take place? The short answer is, no one knows, but it has been showing all the signs that tend to pop up in the months before an eruption happens, meaning its likely to be this year.
Topics: Science, US News, Environment